Translate with 
MENU ZAVŘÍT

Prodej pozemku 863 m², Okrouhlá (ID 224-NP01436)

Okrouhlá – část obce Okrouhlá u Nového Boru mapa

2 200 000 Kč ( za nemovitost)

863 m2
Exkluzivně

Zastavitelný pozemek v Okrouhlé u Nového Boru

Pozemek pro stavbu rodinného domu – Okrouhlá u Nového Boru. Elektřina, voda i plyn. Klid, soukromí, příroda a jen pár minut do N. Boru.

Hledáte místo, kde budete mít klid, zeleň a soukromí, ale zároveň nechcete bydlet “na konci světa”, odkud je všechno daleko?

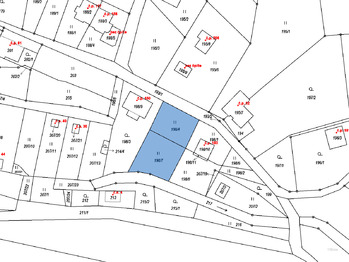
Nabízíme zastavitelný pozemek v obci Okrouhlá u Nového Boru, který je podle platného územního plánu určený pro bydlení v rodinných domech. Díky tomu je vhodný jak pro výstavbu rodinného domu pro trvalé bydlení, tak i pro rekreační chalupu. Pozemek je rozdělen do dvou parcel vedených v katastru nemovitostí jako pozemky typu TTP, a jejich celková výměra je 863 m² (parc. č. 198/4 o výměře 379 m² a parc. č. 198/7 o výměře 484 m²).

To důležité už je hotové: elektřina je přivedená až na pozemek a je osazen elektroměr, vodovod je dotažený až na pozemek včetně šachty a vodoměru, plynová přípojka je zajištěná přímo u pozemku, takže nemusíte řešit nákladné připojování sítí nebo složité dohody s okolními vlastníky. Nepochybně je to obrovská výhoda a taky zásadní úspora času i peněz ještě před zahájením stavby. Řešení splaškových vod se zde předpokládá individuálně – typicky domovní čistírnou odpadních vod (ČOV), samozřejmě po projednání a schválení příslušným stavebním / vodoprávním úřadem, což je běžný způsob u podobných venkovských pozemků, kde není vybudovaná centrální kanalizace.

Na pozemku resp. v jeho zadní části v tuto chvíli stojí jednoduchá dřevěná chata (nikoliv na místě předpokládané budoucí stavby RD), která může ještě dál sloužit k občasnému rekreačnímu nebo sezónnímu využití, ale hlavně vám poskytne praktické zázemí během samotné výstavby domu – místo na nářadí, přístřešek při špatném počasí, zázemí pro dohled na stavbu apod.
Důležité upozornění: tato chata není zapsaná v katastru nemovitostí jako stavba. To znamená, že ji vnímáme spíše jako dočasný objekt (provizorní zázemí), nikoliv jako plnohodnotnou rekreační stavbu. Na okraji pozemku je dále umístěn kontejner sloužící jako sklad. Ideální na materiál, nářadí, zahradní techniku atd. V praxi to znamená, že když začnete stavět, nemusíte první den řešit, kam s věcmi. Máte to připravené.

Okrouhlá je malá a klidná obec v dojezdové vzdálenosti pár minut od Nového Boru. Lokalita nabízí úplný klid venkova, ale zároveň jste rychle ve městě – služby, školy, obchody, zdravotní péče, kultura, práce, všechno v dosahu bez toho, abyste obětovali soukromí. Pozemek leží v tiché a velmi klidné části obce, s minimem dopravy a rušivých vlivů. Je to přesně ta varianta, kterou dnes hodně stavebníků hledá. Území spadá do chráněné krajinné oblasti (IV. zóna CHKO), z čehož vyplývají určité podmínky a regulativy pro stavby, které však lze bez problémů splnit.

Samotná poloha pozemku zajišťuje stabilní ráz okolí, nehrozí vám budoucí stavba fabriky nebo haly vedle domu, krásná příroda je zde na dosah. Celkově se jedná o dlouhodobě příjemné místo k bydlení i rekreaci.

Rádi vám poskytneme podrobnější informace a domluvíme se na realizaci osobní prohlídky.
Cena:
2 200 000 CZK / za nemovitost
Poznámka k ceně:
Včetně právního servisu, advokátní úschovy a provize realitní kanceláře.
Upozornění:
Prodávající si vyhrazuje právo vybrat kupujícího na základě jím zvolených kritérií.
RX finance

Spočítejte si splátku hypotéky

Na kolik vás vyjde pořízení vlastního bydlení? Zadejte pár informací do naší hypoteční kalkulačky a hned si prohlédněte výsledek.

Kupní cena nemovitosti

2 200 000 Kč

Výše hypotéky

Doba splácení

Vypočítaná měsíční splátka

Úroková sazba 3.6%

260 990 Kč

Hypotéku zařídíme za vás

Ušetřete svůj čas i nervy. Naši makléři zařídí veškeré papírování a dovedou vás až k úspěšnému podpisu smlouvy v bance.

Nechte nám kontakt, náš makléř se v pracovní dny ozve do 24 hodin

* – toto pole je nutné vyplnit
Aleš Zemek
RE/MAX Living
Hrnčířská 2456
Česká Lípa, 47001
Česká republika
Tel. na makléře: +420 724 477 115
Tel. do kanceláře: +420 724 477 115
E-mail: ales.zemek@re-max.cz

Potřebujete poradit/máte zájem o prohlídku?

* – toto pole je nutné vyplnit

Podrobné informace

Číslo zakázky:
ID 224-NP01436
Druh pozemku:
Pro bydlení
Celková plocha:
863 m²
Inženýrské sítě:
Vodovod, Plyn, Elektřina
Typ nemovitosti:
Pozemky
Doprava:
Silnice, Autobus
Elektřina:
230 V, 400 V
Odpad:
Čistička odpadních vod pro celý objekt
Plyn:
Plynovod
Umístění objektu:
Klidná část obce
Umístění v chráněných lokalitách:
Ochranné pásmo
Voda:
Dálkový rozvod