Translate with 
MENU ZAVŘÍT

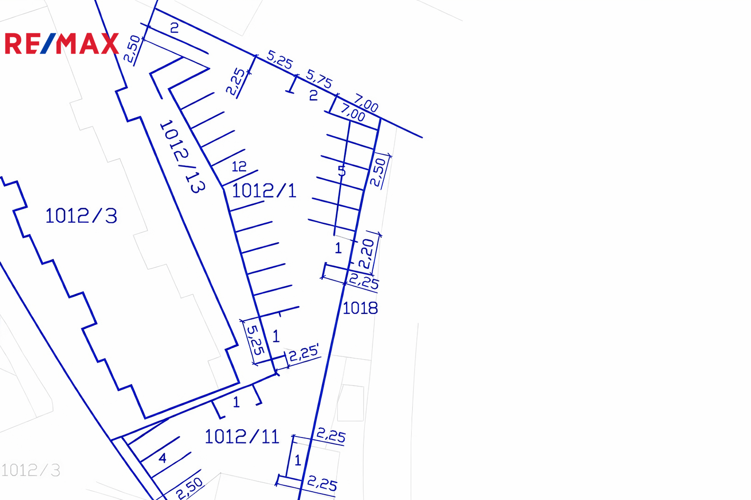
Prodej pozemku 935 m², České Budějovice (ID 343-NP00679)

České Budějovice – část obce České Budějovice 7 mapa

Cena na vyžádání v kanceláři

935 m2
Exkluzivně

Nabízíme ke koupi parcelu 935 m2, v ulici Roudenská, k. ú. České Budějovice 7

Nabízíme ke koupi pozemkovou parcelu č. 1012/1 o výměře 935 m², která se nachází v ulici Roudenská v Českých Budějovicích. Pozemek ostatní plocha, jiná plocha, nyní slouží jako veřejná zeleň, dle územního plánu je součástí plochy s velmi rozmanitým způsobem využití.

Pozemek je přístupný z veřejné komunikace. Z větší části rovinatý, zadní menší část svažitá.

Obvyklé a přípustné jsou činnosti dle ÚPO vycházející z bydlení v bytových (nájemních) domech v okolí, přípustné jsou rovněž činnosti poskytující služby středního rozsahu, zejména obchodní, administrativní, zdravotní a sociální, vzdělávací, kulturní, sportovní a rekreační, dopravní a technické místního dosahu.

Vzhledem k umístění parcely u panelových domů, kde je dlouhodobý nedostatek parkovacích míst, tento pozemek nabízí větší část své plochy pro využití na parkování např. formou zřízení parkovacích míst a jejich odprodej konkrétním vlastníkům nebo v podobě placeného parkoviště, nebo jiný druh komerčního využití vycházející z potřeb husté okolní zástavby bytovými domy.

V případě zájmu o bližší informace, zejména zákresy inženýrských sítí a informace z územního plánu, mě neváhejte kontaktovat.
Cena:
Cena na vyžádání v kanceláři
Poznámka k ceně:
Upozornění:
Prodávající si vyhrazuje právo vybrat kupujícího na základě jím zvolených kritérií.
Ing. Silvie Čížková
RE/MAX G8 Reality 8
Pekárenská 1128/46
České Budějovice, 37004
Česká republika
Tel. na makléře: +420 608 624 488
Tel. do kanceláře: +420 733 785 785
E-mail: silvie.cizkova@re-max.cz

Potřebujete poradit/máte zájem o prohlídku?

* – toto pole je nutné vyplnit

Podrobné informace

Číslo zakázky:
ID 343-NP00679
Druh pozemku:
Ostatní
Celková plocha:
935 m²
Typ nemovitosti:
Pozemky
Umístění objektu:
Klidná část obce