Translate with 
MENU ZAVŘÍT

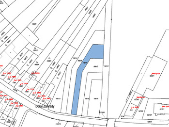
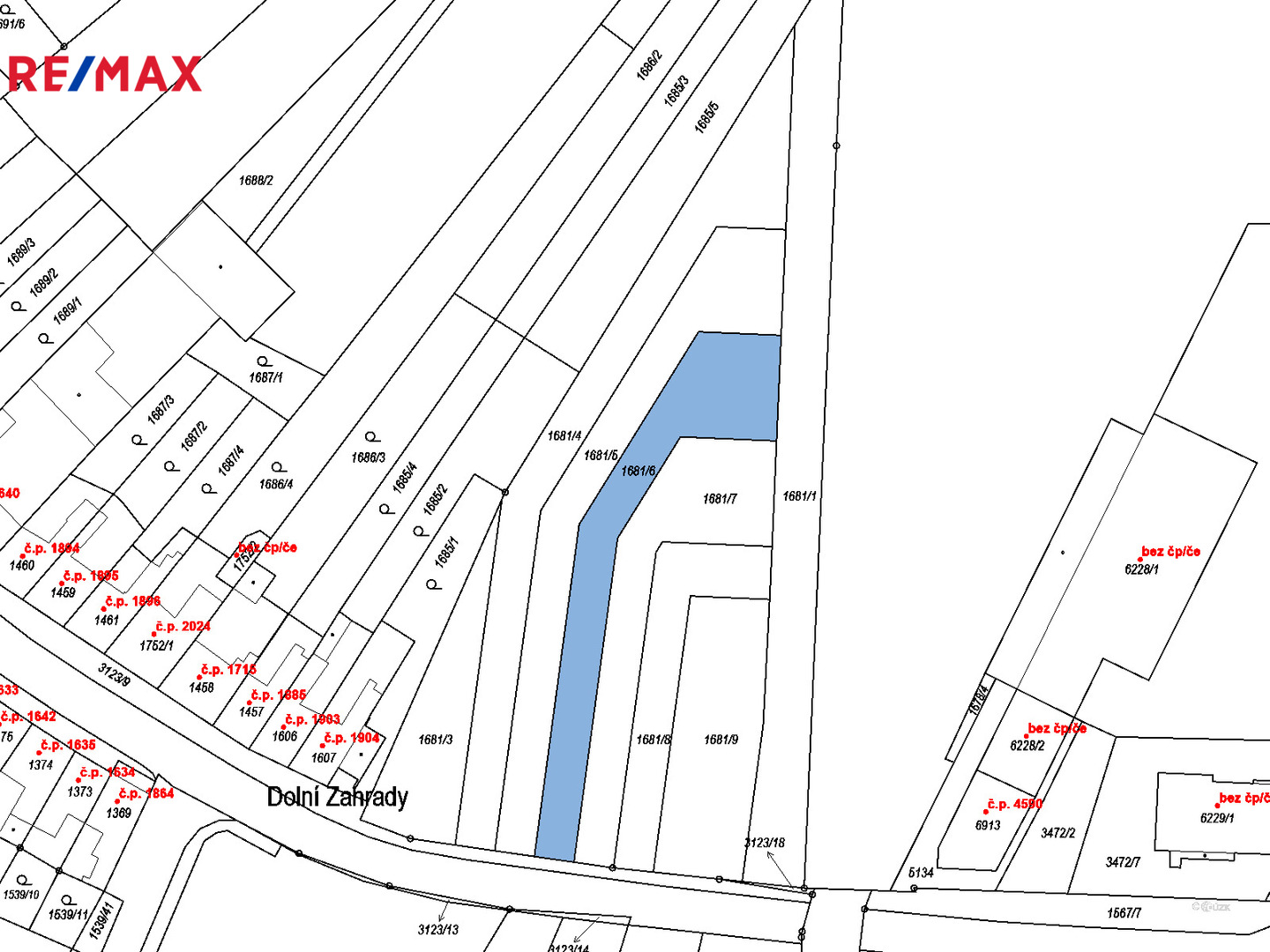
Prodej pozemku 857 m², Kroměříž (ID 359-NP00005)

ulice Skopalíkova, Kroměříž mapa

3 110 910 Kč ( za nemovitost)

857 m2
Exkluzivně

Stavební pozemek 857 m² v Kroměříži | Projekt domu a vydané stavební povolení v ceně

Základní informace
Hledáte stavební pozemek v Kroměříži, kde můžete rychle začít stavět, mít přírodu na dosah a zároveň ušetřit čas každodenním dojížděním?
Nabízíme k prodeji stavební pozemek o výměře 857 m² (parcela č.4), určený pro výstavbu řadového rodinného domu.

Pozemek je součástí developerského projektu RD Skopalíkova, kde v současné době již zbývá k prodeji pouze 5 volných stavebních parcel.
Na některých pozemcích již byla zahájena výstavba rodinných domů, které jsou aktuálně ve fázi hrubé stavby (stav 01/2026). Nejde tedy o projekt „na papíře“, ale o lokalitu, která se reálně rozvíjí a postupně zabydluje.

Lokalita
Pozemek se nachází v Kroměříži na ulici Skopalíkova, v lokalitě, která kombinuje klidné bydlení s výbornou dostupností.

V docházkové vzdálenosti máte:
- školy a školky
- autobusové i vlakové nádraží
- centrum města – na Vodní ulici se dostanete přibližně do 20 minut pěšky
- zastávka MHD je cca 150 m, vlakové i autobusové nádraží do 800 m

Příroda a volný čas
Pozemek se nachází v bezprostřední blízkosti přírody – přes Dolní Zahrady, NP Zámeček až k Záhlinickým rybníkům, případně po cyklostezce směrem na Bílany – Hulín – Holešov.

Lokalita je ideální pro:
- rodiny s dětmi – kola, odrážedla, brusle
- aktivní lidi – běh, cyklistiku, procházky
- pejskaře

Dopravní dostupnost a poloha
Jednou z hlavních výhod této lokality je rychlé napojení na dálnici, které výrazně usnadňuje každodenní dojíždění i cestování.

Díky tomu se pohodlně dostanete:
- do Zlína, Brna nebo Olomouce přibližně za 30–45 minut
- na letiště Praha nebo letiště Vídeň zhruba do 2 hodin 15 minut
- na lyžování v Beskydech nebo Jeseníkách přibližně do 1,5 hodiny
- do vinařských oblastí jižní Moravy zhruba do 1 hodiny

Bydlení přímo v Kroměříži zároveň znamená úsporu času každý den – bez zbytečného dojíždění z okolních obcí a neustálého převážení dětí na kroužky či za kamarády.

Stavební povolení a projekt domu v ceně
Součástí kupní ceny je vydané stavební povolení a kompletní projekt moderního nízkoenergetického řadového rodinného domu v hodnotě cca 240 000 Kč.
Rodinný dům je navržen jako samonosný, takže stavba není technicky závislá na sousedních domech – nezáleží, zda začínáte stavět na kraji nebo uprostřed řady.
Projekt klade důraz na komfortní a úsporné bydlení, splňuje vysoké nároky na energetickou efektivitu a je zařazen do energetické třídy A. Součástí řešení je také přístup na zahradu ze zadní strany pozemku, což zvyšuje praktičnost každodenního užívání domu.

Zadní příjezd k pozemku – podíl v ceně
Při koupi pozemku do 30. 6. 2026 je v rámci kupní ceny zahrnut i spoluvlastnický podíl na příjezdové cestě, která vede k zadnímu vstupu na pozemek.
Tento přístup umožňuje dojezd autem i ze zadní strany pozemku a případné řešení garáže, dalšího parkovacího stání nebo dílny.

Financování
Koupi pozemku lze financovat hypotečním úvěrem, s jehož vyřízením Vám rád pomůže náš zkušený hypoteční specialista.

Pro více informace prosím kontaktujte realitního makléře.
Cena:
3 110 910 CZK / za nemovitost
Poznámka k ceně:
Cena včetně provize RK a právního servisu s advokátní úschovou
Upozornění:
Prodávající si vyhrazuje právo vybrat kupujícího na základě jím zvolených kritérií.
RX finance

Spočítejte si splátku hypotéky

Na kolik vás vyjde pořízení vlastního bydlení? Zadejte pár informací do naší hypoteční kalkulačky a hned si prohlédněte výsledek.

Kupní cena nemovitosti

3 110 910 Kč

Výše hypotéky

Doba splácení

Vypočítaná měsíční splátka

Úroková sazba 3.6%

260 990 Kč

Hypotéku zařídíme za vás

Ušetřete svůj čas i nervy. Naši makléři zařídí veškeré papírování a dovedou vás až k úspěšnému podpisu smlouvy v bance.

Nechte nám kontakt, náš makléř se v pracovní dny ozve do 24 hodin

* – toto pole je nutné vyplnit
Ing. Michal Škvarlo
RE/MAX Aria
Gen. Šišky 4646/4
Kroměříž, 76701
Česká republika
Tel. na makléře: +420 737 464 148
Tel. do kanceláře: +420 576 018 300
E-mail: michal.skvarlo@re-max.cz

Potřebujete poradit/máte zájem o prohlídku?

* – toto pole je nutné vyplnit

Podrobné informace

Číslo zakázky:
ID 359-NP00005
Druh pozemku:
Pro bydlení
Celková plocha:
857 m²
Inženýrské sítě:
Vodovod, Kanalizace, Plyn, Elektřina
Typ nemovitosti:
Pozemky
K nastěhování:
9. 1. 2026
Doprava:
Vlak, Dálnice, Silnice, MHD, Autobus
Elektřina:
230 V
Odpad:
Kanalizace
Plyn:
Plynovod
Umístění objektu:
Klidná část obce
Voda:
Dálkový rozvod