Translate with 
MENU ZAVŘÍT

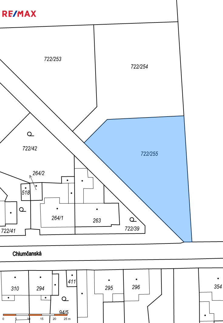
Prodej pozemku 1158 m², Cítoliby (ID 032-NP09521)

Cítoliby, okres Louny mapa

1158 m2
Exkluzivně

Prodej pozemku k výstavbě rodinného domu - Cítoliby

K prodeji nabízíme pozemek nacházející se v obci Cítoliby, cca 2 km od okresního města Louny. V obci naleznete veškerou občanskou vybavenost - škola, školka, hřiště, obchod atd. Pokud by Vám chyběla kultura nebo supermarket, jste za pár minut ve městě.

Dle územního plánu je plocha pozemku označena jako BI.2/4, plochy bydlení individuální v rodinných domech - vesnické. Maximální výška zástavby dle podmínek prostorového uspořádání je maximálně jedno nadzemní podlaží + obytné podkroví. Velikost pozemků v zastavitelných plochách min. 700 m², max. 1200 m².
Nároky na dopravu v klidu pro rodinný dům: min. 2 parkovací místa pro osobní automobily na vlastní stavební parcele, z toho 1 v garáži nebo přístřešku.

Pokud chcete bydlet v klidném prostředí a zároveň mít krátkou dojezdovou vzdálenost do města, neváhejte a informujte se co nejdříve. Díky napojení na D7 výborná dostupnost do Prahy.
Cena:
3 600 CZK / za m2
Poznámka k ceně:
Upozornění:
Prodávající si vyhrazuje právo vybrat kupujícího na základě jím zvolených kritérií.
Lenka Hrdličková
RE/MAX 4 You
Nám. 1. máje 95
Chomutov, 43001
Česká republika
Tel. na makléře: +420 605 028 581
Tel. do kanceláře: +420 739 500 617
E-mail: lenka.hrdlickova@re-max.cz

Potřebujete poradit/máte zájem o prohlídku?

* – toto pole je nutné vyplnit

Podrobné informace

Číslo zakázky:
ID 032-NP09521
Druh pozemku:
Pro bydlení
Celková plocha:
1 158 m²
Typ nemovitosti:
Pozemky
Doprava:
MHD, Autobus
Umístění objektu:
Klidná část obce