Translate with 
MENU ZAVŘÍT

Prodej pozemku 1664 m², Veselí nad Lužnicí (ID 111-NP08723)

Veselí nad Lužnicí – část obce Horusice mapa

1 950 000 Kč ( za nemovitost)

1664 m2
Exkluzivně

Prodej stavebního pozemku v obci Horusice u Veselí nad Lužnicí

Nabízíme k prodeji rovinatý stavební pozemek 1664 m2 na okraji obce Horusice vzdálené necelé 3 km od Veselí nad Lužnicí. Aktuálně je právě na příjezdu od Horusic a Českých Budějovic dokončována nová obchodní zóna s řadou obchodů a služeb. Kompletní občanská vybavenost je k dispozici ve Veselí nad Lužnicí. Obec leží na břehu Horusického rybníka, třetího největšího rybníka v ČR, obyvatelé obce mohou využívat autobusové i vlakové spojení.

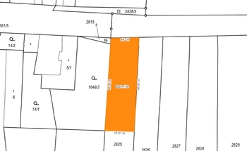
Celková výměra pozemku je 1664 m2, z toho cca 690 m2 je zařazeno územním plánem do plochy bydlení v rodinných domech. Povolen je jednopodlažní rodinný dům s obytným podkrovím. Zastavitelnost pozemku max. 30%. Podrobnější informace z územního plánu najdete ve fotogalerii. Pozemek je aktuálně propachtován. Pachtovní smlouvu je možno ukončit dohodou po sklizni cca v srpnu.
Budoucí stavbu je možno připojit na nově vybudovanou kanalizaci a vodovod v přilehlé komunikaci. Přípojka elektřiny bude k dispozici během první poloviny letošního roku. Přístup k pozemku po obecní komunikaci.

Pozemek je volně přístupný, takže si ho lze kdykoliv prohlédnout. Pro další informace kontaktujte makléře nabídky.
Cena:
1 950 000 CZK / za nemovitost
Poznámka k ceně:
Upozornění:
Prodávající si vyhrazuje právo vybrat kupujícího na základě jím zvolených kritérií.
RX finance

Spočítejte si splátku hypotéky

Na kolik vás vyjde pořízení vlastního bydlení? Zadejte pár informací do naší hypoteční kalkulačky a hned si prohlédněte výsledek.

Kupní cena nemovitosti

1 950 000 Kč

Výše hypotéky

Doba splácení

Vypočítaná měsíční splátka

Úroková sazba 3.6%

260 990 Kč

Hypotéku zařídíme za vás

Ušetřete svůj čas i nervy. Naši makléři zařídí veškeré papírování a dovedou vás až k úspěšnému podpisu smlouvy v bance.

Nechte nám kontakt, náš makléř se v pracovní dny ozve do 24 hodin

* – toto pole je nutné vyplnit
Michal Matějovský
RE/MAX Dynamic
Kanovnická 75/4
České Budějovice, 37001
Česká republika
Tel. na makléře: +420 602 550 604
Tel. do kanceláře: +420 725 910 910
E-mail: michal.matejovsky@re-max.cz

Potřebujete poradit/máte zájem o prohlídku?

* – toto pole je nutné vyplnit

Podrobné informace

Číslo zakázky:
ID 111-NP08723
Druh pozemku:
Pro bydlení
Celková plocha:
1 664 m²
Inženýrské sítě:
Vodovod, Kanalizace
Typ nemovitosti:
Pozemky
Umístění objektu:
Okraj obce
Umístění v chráněných lokalitách:
Ochranné pásmo