Translate with 
MENU ZAVŘÍT

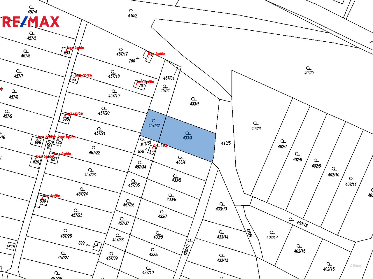
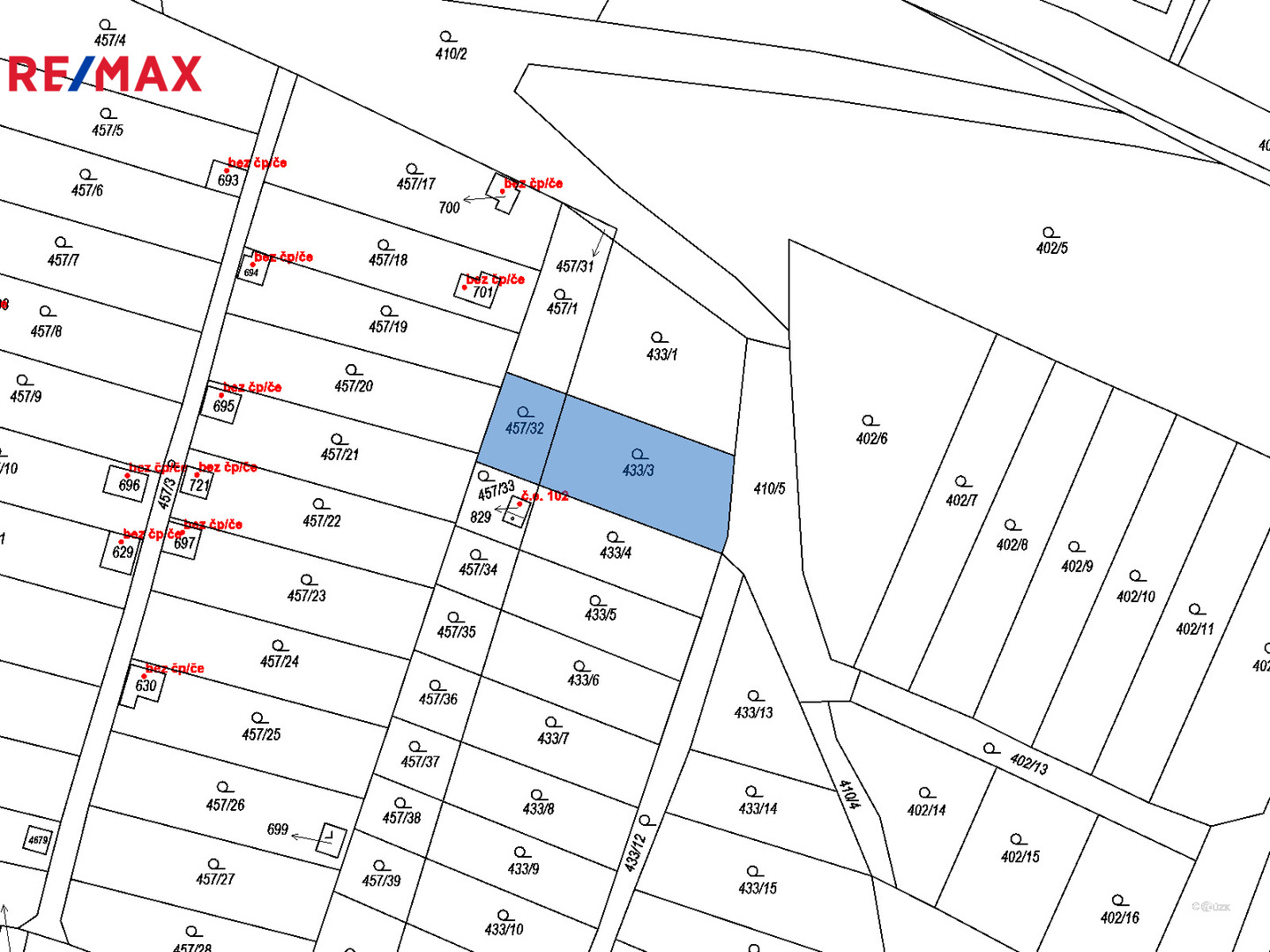
Prodej pozemku 572 m², Lenešice (ID 032-NP09582)

Lenešice, okres Louny mapa

Cena na vyžádání v kanceláři

572 m2
Exkluzivně

prodej zahrady 572 m2, Lenešice

Nabízíme k prodeji udržovanou zahradu o celkové výměře 572 m² v osobním vlastnictví, situovanou v klidné okrajové části obce Lenešice u Loun, v blízkosti bývalého cukrovaru. Pozemek je dlouhodobě pečlivě obdělávaný a ve velmi dobrém stavu, ideální pro rekreaci, zahradničení i odpočinek v soukromí.

Zahrada je z větší části oplocená, přibližně ze tří čtvrtin. Na jedné straně není oplocení řešeno z důvodu zachování dobrých sousedských vztahů, přičemž hranice je přirozeně oddělena cestičkou, pod kterou jsou vedeny elektrické kabely k zahradní chatě. Na pozemku je zavedena elektřina 220 V s vlastním elektroměrem.

Součástí prodeje je přízemní dřevěná chata s praktickým vybavením, které zahrnuje malou ledničku, pohovku, jídelní stůl, židle, pracovní stůl, komody a police. Chata disponuje také samostatným uzamykatelným prostorem pro uložení zahradního nářadí. Za chatou se nachází chemické WC umístěné v dřevěné budce.

Velkou přidanou hodnotou je kompletní vybavení pro údržbu zahrady, které je zahrnuto v ceně. K dispozici je zahradní traktor s nástavci, jako jsou rotovátor, radlice, hrobkovač a podřezávač, dále elektrický rotovátor, motorová strunová sekačka a široké spektrum dalšího nářadí a příslušenství.

Na zahradě není zavedena pitná voda ani kanalizace. Užitková voda je zajištěna prostřednictvím vlastní kopané sondy s čerpadlem, která je plně funkční, dostatečně hluboká a nevysychá. K zalévání slouží také barely na dešťovou vodu se svedením ze střechy chaty. Součástí pozemku jsou rovněž plastové kompostéry a jeden dřevěný kompostér pro efektivní zpracování bioodpadu.

Pozemek je osázen vzrostlými dřevinami a okrasnou zelení, nachází se zde dvě plodící meruňky, ořech, jabloň, třešeň, švestka, keře černého a červeného rybízu i okrasné květiny a keře. U chaty je vybudováno příjemné zastřešené venkovní posezení se zámkovou dlažbou. Vstup na pozemek je zajištěn uzamykatelnou brankou.

Lokalita nabízí klidné prostředí s dobrou dostupností a blízkostí řeky Ohře, což zvyšuje atraktivitu místa jak pro rekreaci, tak pro aktivní trávení volného času.

Tato nabídka představuje ideální příležitost pro ty, kteří hledají plně vybavenou a okamžitě využitelnou zahradu bez nutnosti dalších investic.
Prodávající si vyhrazuje právo vybrat kupujícího na základě jím zvolených kritérií.
Cena:
Cena na vyžádání v kanceláři
Lenka Hrušková
REMAX 4 You
Nám. 1. máje 95
Chomutov, 43001
Česká republika
Tel. na makléře: +420 602 146 019
Tel. do kanceláře: +420 739 500 617
E-mail: lenka.hruskova@re-max.cz

Potřebujete poradit/máte zájem o prohlídku?

* – toto pole je nutné vyplnit

Podrobné informace

Číslo zakázky:
ID 032-NP09582
Druh pozemku:
Zahrada
Celková plocha:
572 m²
Inženýrské sítě:
Vodovod
Typ nemovitosti:
Pozemky
K nastěhování:
9. 3. 2026
Doprava:
Dálnice, Silnice, MHD, Autobus
Umístění objektu:
Klidná část obce