Translate with 
MENU ZAVŘÍT

Prodej pozemku 3223 m², Husinec (ID 273-NP04824)

Husinec – část obce Husinec u Řeže mapa

3223 m2
Exkluzivně

Stavební pozemky v Husinci u Řeže

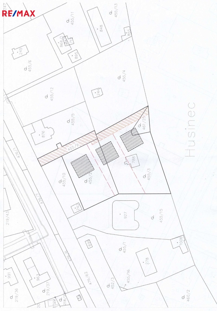
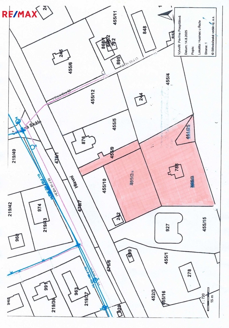
Nabízíme k prodeji soubor stavebních pozemků o celkové výměře 3223 m2 včetně příjezdové komunikace. Nacházejí se v obci Řež - Husinec ve velmi klidné lokalitě v zákrutu řeky Vltavy. Díky skvělé poloze nad řekou poskytují krásné výhledy na okolní přírodu, historické hradiště Levý Hradec a Vltavu.

Celý soubor těchto pozemků je oplocený. Na pozemku se nachází 70 m vrt na vodu. K dispozici je stavební povolení, minimální rozměrový požadavek pozemku v této lokalitě na jednu stavbu je 800 m2.

Soubor pozemků je připraven k rozdělení na tři samostatné pozemky pro výstavbu tří rodinných domů, každý se třemi bytovými jednotkami.

Souhlasná vyjádření ČEZ, vodárny Kladno-Mělník a správce ČOV jsou vydána pro napojení tří domů se třemi bytovými jednotkami pro 36 osob. Hlavní vodovodní řád a splašková kanalizace je cca 30 m od pozemku, elektřina a optický kabel jsou na pozemky přivedeny.

Autobusová zastávka je 150 m od pozemku a zajišťuje přímou dostupnost na metro C. Rychlá dostupnost do centra Prahy je zajištěna vlakovým spojem (Masarykovo nádraží cca 20 min., Praha - Dejvice cca 10 min.).

V obci je obchod potravin, drogerie, restaurace, kavárna, sportovní centrum a nechybí ani školka, škola či obvodní lékař. Obec pořádá různé sportovní a kulturní akce a nabízí řadu aktivních spolků, jako například turistický, fotbalový a další. Podél Vltavy vede cyklostezka s řadou bister a stánků.

Pokud vás naše nabídka zaujala, neváhejte se ozvat a rádi vám poskytneme další informace. Prodávající si vyhrazuje právo vybrat kupujícího na základě jím zvolených kritérií.
Cena:
7 950 CZK / za m2
Poznámka k ceně:
Upozornění:
Prodávající si vyhrazuje právo vybrat kupujícího na základě jím zvolených kritérií.
Artem Saykin
RE/MAX Partner
Řeporyjské náměstí 16
Praha 5 - Řeporyje, 15500
Česká republika
Tel. na makléře: +420 771 161 813
Tel. do kanceláře: +420 800 434 434
E-mail: artem.saykin@re-max.cz

Potřebujete poradit/máte zájem o prohlídku?

* – toto pole je nutné vyplnit

Podrobné informace

Číslo zakázky:
ID 273-NP04824
Druh pozemku:
Pro bydlení
Celková plocha:
3 223 m²
Inženýrské sítě:
Vodovod, Kanalizace, Elektřina
Typ nemovitosti:
Pozemky
Umístění objektu:
Klidná část obce