Translate with 
MENU ZAVŘÍT

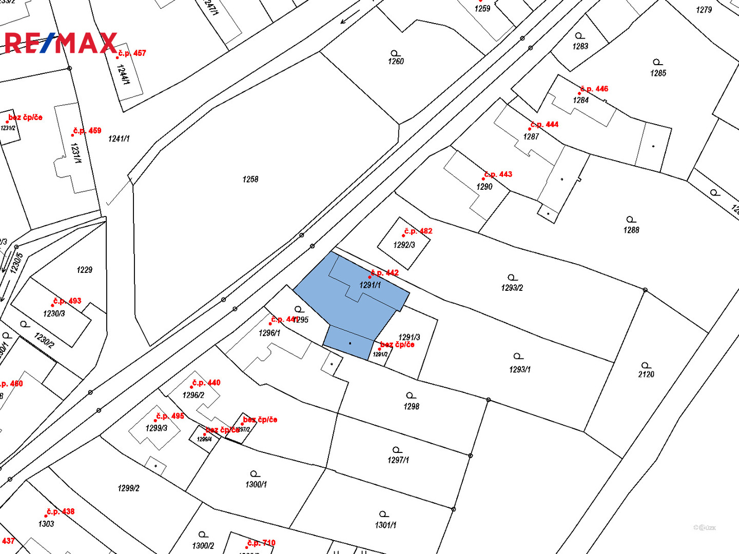
Prodej domu 70 m², Újezd (ID 296-NP00652)

Újezd – část obce Rybníček mapa

2 625 000 Kč ( za nemovitost)

2x
70 m2
614 m2
0
Exkluzivně

Nabízím ke koupi rodinný dům v obci Rybníček, Újezd u Uničova

Nabízím ke koupi rodinný dům v obci Rybníček - Újezd u Uničova. Samostatně stojící dům má spolu se stodolou zast. plochu a nádvoří 479 m2 a zahradu 135 m2.
Dispoziční řešení domu je 2+1.
1.NP – zádveří, kuchyně, pokoj, vstup na půdu, průchozí pokoj do chodby, kde je WC a koupelna s vanou, technická místnost s el. bojlerem a darlingem na studnu.
Topení je plynovými vafkami a krbovými kamny v kuchyni. Voda z vlastní studny, obecní voda před domem. Střecha plechová, okna dřevěná, elektřina v mědi, rozvody vody původní.
Půdní prostor je vhodný k půdní vestavbě po zvýšení střechy. Krytina střechy plechová.
Na zahradě je stodola, kterou je možné využít jako garáž a dřevník.
Spojení do obce autobusem nebo vlakem do Újezda. V obci obchod i restaurace. MŠ a ZŠ v Újezdě.
Rybníček nedaleko Uničova zdaleka není jen těch pár domů s hostincem a benzínovou pumpou, které protíná silnice mířící na Šternberk, ale je to především malebná vesnice, která překvapí půvabnou návsí i zajímavou historii.
Vlastní centrum obce se rozkládá severně od zákruty silnice kolem rozsáhlé návsi. Té vévodí malý rybník, tedy rybníček, jeden z těch, které daly obci jméno. Rybníky zde totiž byly již ve 14. století, na jehož konci je osada poprvé zmíněna i v písemných pramenech. Prodávající si vyhrazuje právo vybrat kupujícího na základě jím zvolených kritérií.
Cena:
2 625 000 CZK / za nemovitost
Poznámka k ceně:
Včetně právního servisu a provize RK
Upozornění:
Prodávající si vyhrazuje právo vybrat kupujícího na základě jím zvolených kritérií.
RX finance

Spočítejte si splátku hypotéky

Na kolik vás vyjde pořízení vlastního bydlení? Zadejte pár informací do naší hypoteční kalkulačky a hned si prohlédněte výsledek.

Kupní cena nemovitosti

2 625 000 Kč

Výše hypotéky

Doba splácení

Vypočítaná měsíční splátka

Úroková sazba 3.6%

260 990 Kč

Hypotéku zařídíme za vás

Ušetřete svůj čas i nervy. Naši makléři zařídí veškeré papírování a dovedou vás až k úspěšnému podpisu smlouvy v bance.

Nechte nám kontakt, náš makléř se v pracovní dny ozve do 24 hodin

* – toto pole je nutné vyplnit
Michaela Myšáková
RE/MAX Komfort
Dolní Novosadská 803/55
Olomouc, 77900
Česká republika
Tel. na makléře: +420 733 626 317
Tel. do kanceláře: +420 733 626 317
E-mail: m.mysakova@re-max.cz

Potřebujete poradit/máte zájem o prohlídku?

* – toto pole je nutné vyplnit

Podrobné informace

Číslo zakázky:
ID 296-NP00652
Poloha objektu:
Samostatný
Užitná plocha:
70 m²
Plocha parcely:
614 m²
Druh objektu:
Smíšená
Stav objektu:
Velmi dobrý
Typ nemovitosti:
Domy a vily
Elektřina:
230 V
Garáž:
Ano
Odpad:
Kanalizace
Plocha zahrady:
135 m²
Zastavěná plocha:
479 m²
Plyn:
Plynovod
Telekomunikace:
Internet
Typ domu:
Přízemní
Umístění objektu:
Klidná část obce