Translate with 
MENU ZAVŘÍT

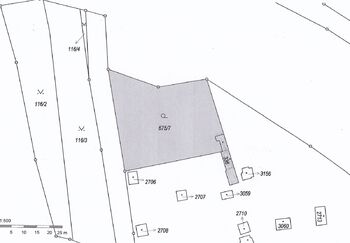
Prodej pozemku 1311 m², Mariánské Lázně (ID 314-NP00318)

ulice Dobrovského, Mariánské Lázně – část obce Úšovice mapa

5 700 000 Kč (vč. DPH, za nemovitost)

1311 m2
Exkluzivně

Pěkný slunný stavební pozemek se zahradou 1311 m2 v Mariánských Lázních - Úšovice

Stavební pozemek 63 m2 s přiděleným číslem popisným, v blízké vzdálenosti od přípojky vody a el. energie, studniční voda na pozemku by se musela obnovit. Stavební pozemek je zasazený na úpatí svažité zahrady o rozloze 1248 m2 spíše čtvercového tvaru na atraktivním místě Mariánských Lázní, v Úšovicích. Orientace zahrady je na jihozápadní stranu, je osázena vzrostlými ovocnými stromy a dalšími dřevinami. Zahrada má po celý den dostatek světla, neboť leží ve svahu, výškově nad přilehlým městským parkem. Park vede ke kolonádě a třem minerálním pramenům - Antoníčkově, Rudolfově a Ferdinandově (nejbližší 300 m). Centrum a veškerá občanská vybavenost je v blízkosti. K pozemku vede příjezdová cesta, která je lemovaná z jedné strany pěkným parkem z druhé Slavkovským lesem. Jedná se o krajinnou oblast, která je druhá nejčistší v České republice, leží v pásmu chráněné krajinné oblasti - zóna II - IV. Jedná se o vnitřní území lázeňského místa a ochranné pásmo přírodních léčivých zdrojů nebo zdroje přírodní minerální vody. Na pozemku byla v minulosti využívána studna. Pěkné místo výhodná investice s perspektivou většího potenciálu. Přítomnost asfaltové komunikace, která spojuje oblast s parkem se nabízí i k využití pozemku k podnikání. Veškeré další informace u makléře zakázky. Prodávající si vyhrazuje právo vybrat kupujícího na základě jím zvolených kritérií.
Cena:
5 700 000 CZK / za nemovitost
Poznámka k ceně:
včetně provize a právního servisu
RX finance

Spočítejte si splátku hypotéky

Na kolik vás vyjde pořízení vlastního bydlení? Zadejte pár informací do naší hypoteční kalkulačky a hned si prohlédněte výsledek.

Kupní cena nemovitosti

5 700 000 Kč

Výše hypotéky

Doba splácení

Vypočítaná měsíční splátka

Úroková sazba 3.6%

260 990 Kč

Hypotéku zařídíme za vás

Ušetřete svůj čas i nervy. Naši makléři zařídí veškeré papírování a dovedou vás až k úspěšnému podpisu smlouvy v bance.

Nechte nám kontakt, náš makléř se v pracovní dny ozve do 24 hodin

* – toto pole je nutné vyplnit
Veronika Morávková
REMAX Stability
Sofijské náměstí 3404/3
Praha 4 , 14300
Česká republika
Tel. na makléře: +420 773 333 311
Tel. do kanceláře: +420 735 713 990
E-mail: veronika.moravkova@re-max.cz

Potřebujete poradit/máte zájem o prohlídku?

* – toto pole je nutné vyplnit

Podrobné informace

Číslo zakázky:
ID 314-NP00318
Druh pozemku:
Pro bydlení
Celková plocha:
1 311 m²
Inženýrské sítě:
Vodovod, Elektřina
Typ nemovitosti:
Pozemky
Doprava:
Vlak, Dálnice, Silnice, MHD, Autobus
Občanská vybavenost:
Škola, Školka, Zdravotnická zařízení, Pošta, Supermarket, Kompletní síť obchodů a služeb
Umístění objektu:
Klidná část obce
Umístění v chráněných lokalitách:
Ochranné pásmo