Translate with 
MENU ZAVŘÍT

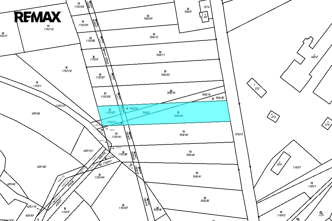
Prodej pozemku 2078 m², Benešov (ID 362-NP00031)

Benešov – část obce Benešov u Boskovic mapa

1 950 000 Kč ( za nemovitost)

2078 m2
Exkluzivně

Slunný stavební pozemek 2 078 m² v klidné části obce Benešov u Boskovic

Nabízíme k prodeji krásný, slunný stavební pozemek o výměře 2 078 m² v klidné okrajové části obce Benešov u Boskovic, při výjezdu směrem na Kořenec. Tato lokalita je ideální volbou pro ty, kteří touží po bydlení v soukromí, obklopeni přírodou, a přitom s dobrou dostupností do města.

Pozemek zaujme nejen svou velkorysou výměrou, která poskytuje dostatek prostoru pro realizaci rodinného domu i rozlehlé zahrady, ale také příjemnou atmosférou a dostatkem slunečního svitu po celý den. Díky přímému přístupu z obecní asfaltové komunikace je zajištěn pohodlný příjezd, zatímco okolní prostředí nabízí klid.

Obec Benešov u Boskovic patří mezi vyhledávané lokality díky své kombinaci klidného bydlení a dobré dostupnosti do Boskovic i dalších měst. V dosahu tak máte veškerou občanskou vybavenost, aniž byste se museli vzdát klidu a prostoru, který nabízí venkov.

Pokud hledáte místo, kde si můžete postavit domov podle vlastních představ a zároveň si užívat klid, soukromí a přírodu, je tento pozemek skvělou příležitostí.

Pro více informací nebo domluvení prohlídky mě neváhejte kontaktovat.
Prodávající si vyhrazuje právo vybrat kupujícího na základě jím zvolených kritérií.
Cena:
1 950 000 CZK / za nemovitost
Poznámka k ceně:
včetně provize a práního servisu, cena k jednání
RX finance

Spočítejte si splátku hypotéky

Na kolik vás vyjde pořízení vlastního bydlení? Zadejte pár informací do naší hypoteční kalkulačky a hned si prohlédněte výsledek.

Kupní cena nemovitosti

1 950 000 Kč

Výše hypotéky

Doba splácení

Vypočítaná měsíční splátka

Úroková sazba 3.6%

260 990 Kč

Hypotéku zařídíme za vás

Ušetřete svůj čas i nervy. Naši makléři zařídí veškeré papírování a dovedou vás až k úspěšnému podpisu smlouvy v bance.

Nechte nám kontakt, náš makléř se v pracovní dny ozve do 24 hodin

* – toto pole je nutné vyplnit
Tomáš Šmídek
REMAX Partner 2
U Leskavy 764/20
Brno - Starý Lískovec, 62500
Česká republika
Tel. na makléře: +420 725 777 142
Tel. do kanceláře: +420 800 434 434
E-mail: tomas.smidek@re-max.cz

Potřebujete poradit/máte zájem o prohlídku?

* – toto pole je nutné vyplnit

Podrobné informace

Číslo zakázky:
ID 362-NP00031
Druh pozemku:
Pro bydlení
Celková plocha:
2 078 m²
Typ nemovitosti:
Pozemky
Umístění objektu:
Okraj obce