Translate with 
MENU ZAVŘÍT

Prodej skladovacích prostor 4000 m², Hořovice (ID 201-NP03316)

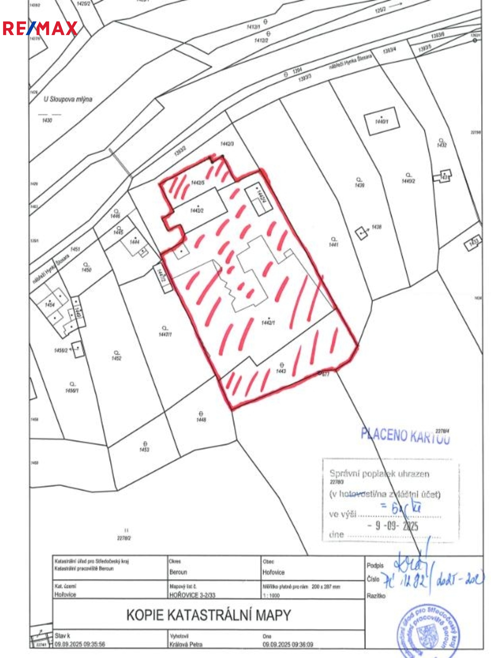
ulice nábřeží Hynka Šlosara, Hořovice mapa

34 980 000 Kč ( za nemovitost)

4000 m2
Exkluzivně

Víceúčelový areál s kombinací bydlení, skladů a administrativy – vysoký potenciál pronájmu

Víceúčelový areál v klidné lokalitě – ideální pro bydlení i podnikání

Nabízíme k prodeji ucelený skladově-administrativní areál se širokým spektrem využití, situovaný v klidné a dobře dostupné lokalitě. Nemovitost je vhodná jak pro kombinaci bydlení a podnikání, tak i jako čistě investiční příležitost. V současné době je část areálu v pronájmu.

Lokalita:
- klidná část města
- cca 4 km od dálnice D5 (Praha–Plzeň)
- 45 km Praha, 20 km Beroun
- výborná dostupnost: auto, vlak, autobus
- kompletní občanská vybavenost

Popis areálu:
- uzavřený, plně funkční areál na několika pozemcích
- napojení na elektřinu, vodu, kanalizaci i zemní plyn
- příjezd po veřejné zpevněné komunikaci
- kombinace skladů, administrativy a bydlení

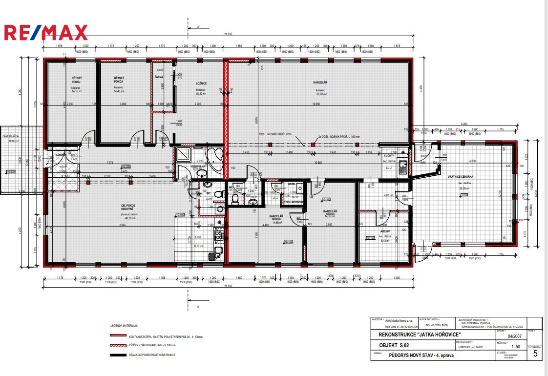
Objekt č.p. 608 – administrativa & bydlení:
- přízemní budova po kompletní rekonstrukci
- v KN vedeno jako rodinný dům s provozními prostory
- bytová jednotka 4+kk
- kanceláře / administrativní část

Příslušenství:
- krytý venkovní bazén s protiproudem
- vedlejší stavba sauna a posilovna
- upravená zahrada a venkovní plochy

Ideální pro manažerské bydlení, sídlo firmy nebo kombinaci bydlení a podnikání

Hlavní skladový objekt:
- původně městská jatka (r. 1970)
- v posledních letech nákladná rekonstrukce
- část objektu plně modernizována, část slouží jako sklady

Vybavení:
- vzduchotechnika
- kamerový a zabezpečovací systém
- požární zabezpečení
- nerezové a keramické obklady
- nové sociální zázemí, zasedací místnost
- část prostor vhodná pro skladování chemikálií

Vedlejší stavby a zázemí:
- sauna a menší tělocvična
- oplocené parkoviště (3 místa pro byt)
- zpevněné plochy, oplocení, brány, zeleň
- opěrná zeď u skladového objektu

Technický stav:
- rozsáhlá rekonstrukce v roce 2011
- zděné konstrukce
- výborný stavebně-technický stav
- areál dlouhodobě a pečlivě udržovaný

Možnosti využití:
- skladování / logistika / distribuce
- lehká výroba
- sídlo firmy + bydlení
- kanceláře, showroom
- speciální skladovací režimy (včetně chemikálií)
- investiční využití (pronájem jednotlivých částí)

Hlavní výhody:
- výborná dostupnost D5 (Praha / Plzeň)
- kombinace bydlení + administrativa + sklady
- vysoký standard zabezpečení
- bazén, sauna, tělocvična
- klidné prostředí
- velmi dobrá prodejnost i pronajímatelnost

Shrnutí:
Komplexní a flexibilní areál ve výborném technickém stavu, vhodný jak pro vlastní podnikání, tak jako investiční příležitost. Díky lokaci, kvalitní rekonstrukci a variabilitě využití jde o nadstandardní nabídku v regionu.

Shrnutí pro investory:
✔ stabilní regionální asset s jasnou poptávkou
✔ kombinace provozního a rezidenčního výnosu
✔ flexibilní investiční scénáře
✔ minimální vstupní CAPEX
✔ atraktivní lokalita s dlouhodobým růstovým potenciálem
Prodávající si vyhrazuje právo vybrat kupujícího na základě jím zvolených kritérií.
Cena:
34 980 000 CZK / za nemovitost
RX finance

Spočítejte si splátku hypotéky

Na kolik vás vyjde pořízení vlastního bydlení? Zadejte pár informací do naší hypoteční kalkulačky a hned si prohlédněte výsledek.

Kupní cena nemovitosti

34 980 000 Kč

Výše hypotéky

Doba splácení

Vypočítaná měsíční splátka

Úroková sazba 3.6%

260 990 Kč

Hypotéku zařídíme za vás

Ušetřete svůj čas i nervy. Naši makléři zařídí veškeré papírování a dovedou vás až k úspěšnému podpisu smlouvy v bance.

Nechte nám kontakt, náš makléř se v pracovní dny ozve do 24 hodin

* – toto pole je nutné vyplnit
Marek Vlach
REMAX Atrium
Podolská 811/138
Praha 4 - Podolí, 14700
Česká republika
Tel. na makléře: +420 777 262 546
Tel. do kanceláře: +420 606 726 515
E-mail: marek.vlach@re-max.cz

Potřebujete poradit/máte zájem o prohlídku?

* – toto pole je nutné vyplnit

Podrobné informace

Číslo zakázky:
ID 201-NP03316
Typ nemovitosti:
Komerční prostory
Druh prostor:
Skladovací
Plocha kanceláří:
4 000 m²
Druh objektu:
Smíšená
Stav objektu:
Velmi dobrý
K nastěhování:
1. 7. 2026
Doprava:
Dálnice, Silnice
Typ domu:
Přízemní
Umístění objektu:
Klidná část obce
Voda:
Dálkový rozvod