Translate with 
MENU ZAVŘÍT

Prodej domu 100 m², Tis u Blatna (ID 185-NP02408)

Tis u Blatna, okres Plzeň-sever mapa

2 600 000 Kč ( za nemovitost)
GMimořádně
nehospodárná

3x
100 m2
165 m2
2
Exkluzivně Rezervace

Prodej rodinného domu, Tis u Blatna 140 m2 s pozemkem 948 m2

Nabízíme Vám k prodeji větší rodinný dům v malebné vesničce Tis u Blatna. Samotná obec se nachází v malebném, mírně zalesněném prostředí v severní části okresu Plzeň-sever, 13 km východně od Žlutic. V obci žije zhruba stálých70 obyvatel. Jedná se o místo s kompletními službami. V obci funguje obecní úřad, pošta, obchod.
Do obce je pravidelná autobusová doprava
Tis u Blatna je zasazen do krásné přírody. Lokalita je vyhledávaná pro klid, žádné rušivé vlivy, dobré sousedské vztahy .
Houbaření, turistika, cykloturistika, příjemné procházky do krásného okolí se známými místy Rabštejn nad Střelou, zámek Chyše, Manětín.
Nepříjemností se múže jevit blízkost kamenolomu jehož činnost poněkud zatěžuje tuto krásnou lokalitu. Toto je však na zvážení každého zájemce
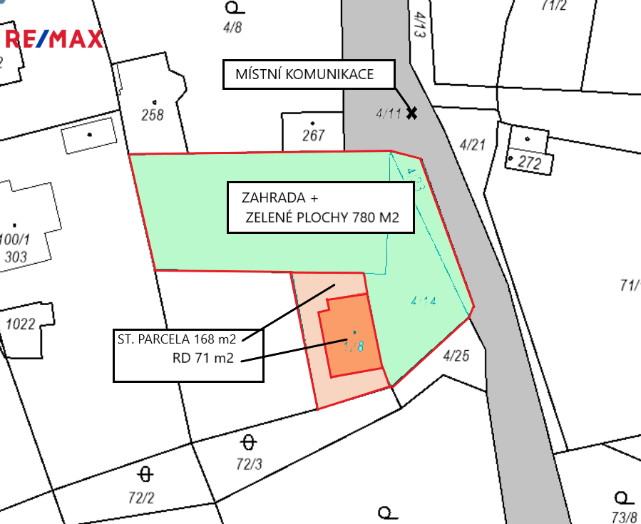
RD je patrová stavba o výměře 71 m2 na stavební parcele 165 m2.
Základy jsou betonové, na střeše je položena pálená taška.
V přízemí je kuchyň, pokoj a pracovní prostor ze kterého lze snadno lze vybudovat další pokoj. Dále WC , koupelna, 2 komomory V patře pak 2 pokoje, další dvě komory půda Z jednoho pokoje vstup na balkon

Dům je v dobrém technickém stavu.
Vytápění : lokální na tuhá paliva
Voda – vrtaná studna - z ní je rozvod vody do domu. Obec nemá vodovod. Na zahradě ještě kopaná studna, používaná pro zalévání zahrady.

Elektřina : El rozvody ( 220/380 V )
Odpady – septik
Dům je podsklepen

Pozemky: stavební parcela 165 m2.
Detailnější náhled dispozic domu spolu s rozměry a rozmístění staveb na pozemku naleznete na přiloženém půdorysu.

Do Rakovníka 40 km, Podbořan 24 km, Jesenice 15.

Pokud hledáte pro Vás a vaši rodinu dům pro trvalé bydlení nebo třeba jen chalupu v příjemném prostředí a očekáváte dobré sousedské vztahy lokalitu s minimálním provozem, jste sportovně založení a procházky lesem, přírodou či houbaření jsou pro Vás radostí, tato nabídka Vás zcela jistě nadchne.

Pro bližší informace a případné sjednání osobní prohlídky této unikátní nemovitosti mě neváhejte kdykoli kontaktovat.
Cena:
2 600 000 CZK / Rezervováno
Poznámka k ceně:
Včetně provize RK a veškerých služeb
Upozornění:
Prodávající si vyhrazuje právo vybrat kupujícího na základě jím zvolených kritérií.
RX finance

Spočítejte si splátku hypotéky

Na kolik vás vyjde pořízení vlastního bydlení? Zadejte pár informací do naší hypoteční kalkulačky a hned si prohlédněte výsledek.

Kupní cena nemovitosti

2 600 000 Kč

Výše hypotéky

Doba splácení

Vypočítaná měsíční splátka

Úroková sazba 3.6%

260 990 Kč

Hypotéku zařídíme za vás

Ušetřete svůj čas i nervy. Naši makléři zařídí veškeré papírování a dovedou vás až k úspěšnému podpisu smlouvy v bance.

Nechte nám kontakt, náš makléř se v pracovní dny ozve do 24 hodin

* – toto pole je nutné vyplnit
Bohumil Kotvald
RE/MAX Non stop
Mostecká 21
Litvínov, 43601
Česká republika
Tel. na makléře: +420 733 691 127
Tel. do kanceláře: +420 739 486 510
E-mail: bohumil.kotvald@re-max.cz

Potřebujete poradit/máte zájem o prohlídku?

* – toto pole je nutné vyplnit

Podrobné informace

Číslo zakázky:
ID 185-NP02408
Poloha objektu:
Samostatný
Počet podlaží v objektu:
2
Užitná plocha:
100 m²
Plocha parcely:
165 m²
Druh objektu:
Smíšená
Stav objektu:
Dobrý
Typ nemovitosti:
Domy a vily
K nastěhování:
31. 10. 2025
Doprava:
Silnice, Autobus
Elektřina:
230 V, 400 V
Garáž:
Ano
Odpad:
Septik
Plocha zahrady:
783 m²
Zastavěná plocha:
71 m²
Typ domu:
Patrový
Umístění objektu:
Klidná část obce
Vybaveno:
Ano
Energetická náročnost budovy:
G