Translate with 
MENU ZAVŘÍT

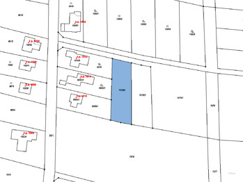
Prodej pozemku 1040 m², Zubří (ID 064-NP04304)

Zubří, okres Vsetín mapa

2 600 000 Kč ( za nemovitost)

1040 m2
Exkluzivně Rezervace

Stavební pozemek 1040 m² v klidné lokalitě Zubří

Váš vysněný domov čeká! Stavební pozemek 1040 m² v klidné lokalitě Zubří

Představujeme jedinečnou příležitost ke koupi prostorného pozemku o rozloze 1040 m² na výstavbu vašeho nového rodinného domu. Pozemek se nachází v jedné z nejžádanějších a nejklidnějších částí obce Zubří, v ulici Sportovní.

Klíčové výhody:
Krásná, tichá lokalita s minimálním provozem.
Velká výměra 1040 m² poskytující dostatek místa pro dům i zahradu.
Inženýrské sítě (vodovod, kanalizace, elektřina) jsou snadno dostupné – v příjezdové cestě z ul. Sportovní, cca 50 m.
Vodu je možné řešit vlastní studnou, kanalizaci septikem.

Začněte psát příběh svého domova na tomto idylickém místě!
Pro více informací a sjednání schůzky kontaktujte našeho realitního makléře.
Těšíme se na váš zájem.
Cena:
2 600 000 CZK / Rezervováno
Poznámka k ceně:
Upozornění:
Prodávající si vyhrazuje právo vybrat kupujícího na základě jím zvolených kritérií.
RX finance

Spočítejte si splátku hypotéky

Na kolik vás vyjde pořízení vlastního bydlení? Zadejte pár informací do naší hypoteční kalkulačky a hned si prohlédněte výsledek.

Kupní cena nemovitosti

2 600 000 Kč

Výše hypotéky

Doba splácení

Vypočítaná měsíční splátka

Úroková sazba 3.6%

260 990 Kč

Hypotéku zařídíme za vás

Ušetřete svůj čas i nervy. Naši makléři zařídí veškeré papírování a dovedou vás až k úspěšnému podpisu smlouvy v bance.

Nechte nám kontakt, náš makléř se v pracovní dny ozve do 24 hodin

* – toto pole je nutné vyplnit
Diana Nebuchlová
RE/MAX Quality
Na Příkopě 814
Vsetín, 75501
Česká republika
Tel. na makléře: +420 604 213 838
Tel. do kanceláře: +420 725 686 500
E-mail: diana.nebuchlova@re-max.cz

Potřebujete poradit/máte zájem o prohlídku?

* – toto pole je nutné vyplnit

Podrobné informace

Číslo zakázky:
ID 064-NP04304
Druh pozemku:
Pro bydlení
Celková plocha:
1 040 m²
Inženýrské sítě:
Vodovod
Typ nemovitosti:
Pozemky
Umístění objektu:
Klidná část obce