Translate with 
MENU ZAVŘÍT

Prodej pozemku 2410 m², Brno (ID 193-NP02476)

Brno – část obce Tuřany mapa

7 600 000 Kč ( za nemovitost)

2410 m2
Exkluzivně

Prodej stavebního pozemku 2410m2

* Základní informace *
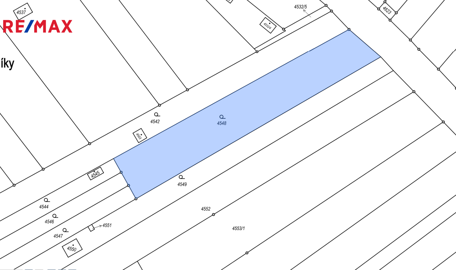
Pozemek o výměře 2 410 m²
Šířka až 20 m, pravidelný obdélníkový tvar
Územní plán: bydlení individuální i všeobecné
Inženýrské sítě v dosahu pozemku
Přístup z obecní komunikace – ulice Sokolnická, Brno-Tuřany

* Pozemek a jeho charakter *
Na okraji Tuřan, v místě, kde se zástavba pozvolna rozvolňuje a dává prostor klidu, se nachází tento rovinatý a pečlivě udržovaný pozemek. Díky své velikosti a proporcím působí vzdušně a nabízí příjemný pocit otevřeného prostoru, který dnes u nových parcel často chybí.
Atmosféru místa dotvářejí vzrostlé ovocné stromy starých odrůd, které dávají pozemku přirozený charakter.

* Možnosti využití *
Dle územního plánu je parcela určena k bydlení, a to jak individuálnímu, tak i všeobecnému. To v praxi znamená široké možnosti – od rodinného domu s velkorysou zahradou až po menší developerský projekt, který citlivě využije potenciál lokality.
Pozemek leží u obecní komunikace, přístup je přímo ze Sokolnické ulice.
Rovinatý terén bez nutnosti zásadních úprav usnadňuje samotnou výstavbu i plánování zahrady.

* Lokalita – Brno-Tuřany *
Tuřany patří mezi oblíbené části Brna pro ty, kdo hledají klidnější bydlení bez ztráty kontaktu s městem. V místě najdete školy, školky, obchody i základní služby, které zajišťují pohodlné každodenní fungování.
Výborná je i dopravní dostupnost – do centra Brna se dostanete během několika minut autem i městskou hromadnou dopravou. Okrajová poloha pozemku zároveň přináší větší klid a pocit soukromí.

Pokud hledáte místo pro vlastní bydlení s dostatkem prostoru, nebo uvažujete investičně a vidíte příležitost v rozvíjející se části Brna, ráda Vám tento pozemek osobně představím. Stačí se ozvat a domluvit si termín prohlídky.

Jak mě kontaktovat?
Ideálně reagujte emailem přímo na inzerát, ozvu se Vám obratem.
Prodávající si vyhrazuje právo vybrat kupujícího na základě jím zvolených kritérií.
Cena:
7 600 000 CZK / za nemovitost
Poznámka k ceně:
včetně realitního a právního servisu. Cena k jednání.
RX finance

Spočítejte si splátku hypotéky

Na kolik vás vyjde pořízení vlastního bydlení? Zadejte pár informací do naší hypoteční kalkulačky a hned si prohlédněte výsledek.

Kupní cena nemovitosti

7 600 000 Kč

Výše hypotéky

Doba splácení

Vypočítaná měsíční splátka

Úroková sazba 3.6%

260 990 Kč

Hypotéku zařídíme za vás

Ušetřete svůj čas i nervy. Naši makléři zařídí veškeré papírování a dovedou vás až k úspěšnému podpisu smlouvy v bance.

Nechte nám kontakt, náš makléř se v pracovní dny ozve do 24 hodin

* – toto pole je nutné vyplnit
Ing. Lenka Malíková
REMAX G8 Reality 5
Moravské náměstí 754/13
Brno, 60200
Česká republika
Tel. na makléře: +420 777 197 768
Tel. do kanceláře: +420 703 180 388
E-mail: lenka.malikova@re-max.cz

Potřebujete poradit/máte zájem o prohlídku?

* – toto pole je nutné vyplnit

Podrobné informace

Číslo zakázky:
ID 193-NP02476
Druh pozemku:
Pro bydlení
Celková plocha:
2 410 m²
Typ nemovitosti:
Pozemky
K nastěhování:
30. 3. 2026
Doprava:
Dálnice, Silnice, MHD, Autobus
Umístění objektu:
Klidná část obce