Translate with 
MENU ZAVŘÍT

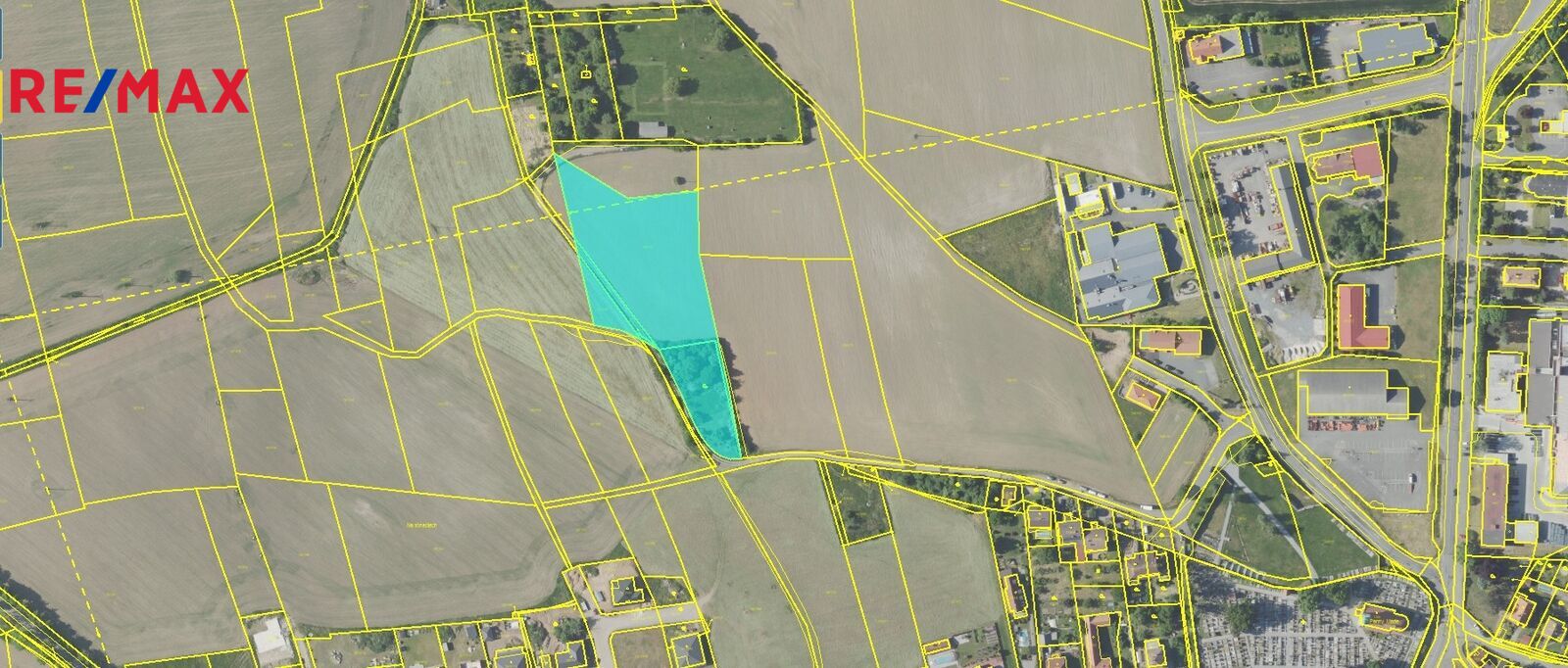
Prodej pozemku 7948 m², Sedlčany (ID 176-NP01645)

ulice Na Stínadlech, Sedlčany mapa

2 800 000 Kč ( za nemovitost)

7948 m2
Exkluzivně

Hledáte větší pozemek pro stavbu rodinného domu, na klidném místě, ale blízko města?

Exkluzivně nabízíme soubor pozemků o celkové výměře 7.948 m2, zapsaných na LV č. 2659 v katastrálním území Sedlčany, na velmi klidném místě, ale pouhé 2 minuty jízdy do centra Sedlčan.
Pro lepší představu shlédněte videoprohlídku: https://youtu.be/ydDJpL4XuK4

Část pozemku o velikosti cca 1.500 m2 (nyní využívaná jako zahrada), je dle nového územního plánu zastavitelná stavbou pro trvalé bydlení. Konkrétní parametry pro stavbu budou známé po zpracování územní studie. Vzhledem k tomu, že nejzazší termín pro zpracování územní studie je 31.10.2028, je tento pozemek vhodný pro zájemce, který nepotřebuje začít stavět dům ihned. Teoreticky je možné, že na této zastavitelné části bude možné postavit i domy dva. Předpokládá se dům v podobném stylu jako jsou novostavby v okolí, tedy maximálně dvě podlaží a sedlová střecha.

Nezastavitelnou část pozemku (cca 6.450 m2) je možné využívat například pro zemědělskou činnost (nabízí se například drobné chovatelství), nebo ji lze pojmout jako dlouhodobou investici, neboť dle současného územního plánu se v budoucnosti počítá s vybudováním silničního obchvatu Sedlčan, který by měl tuto část nabízených pozemků protnout. V takovém případě by stát dotčený úsek vykoupil (obvykle za desetinásobek tržní ceny) a následně lze předpokládat, že zbytek pozemku (za budoucí silnicí) by bylo možné také zastavět. Za kolik let k vybudování obchvatu města dojde a zda vůbec, nyní není známo.

Na zastavitelné části pozemku se nachází kopaná studna. Elektřina, plynovod, vodovod a kanalizace je v příjezdové ulici Na Stínadlech.

V Sedlčanech je kompletní občanská vybavenost a v okolí krásná nezničená příroda. Například jenom pár kilometrů je vzdálena vodní nádrž Slapy, nebo lyžařský areál Monínec a Kvasejovice. Jako místní občan mohu potvrdit, že se na Sedlčansku žije opravdu dobře.

Hypotéku vám můžeme zařídit.
Výhradní zastoupení majitele vám dává jistotu klidného a bezpečného průběhu celé transakce.
Cena:
2 800 000 CZK / za nemovitost
Poznámka k ceně:
Včetně provize, DPH a právních služeb.
Upozornění:
Prodávající si vyhrazuje právo vybrat kupujícího na základě jím zvolených kritérií.
RX finance

Spočítejte si splátku hypotéky

Na kolik vás vyjde pořízení vlastního bydlení? Zadejte pár informací do naší hypoteční kalkulačky a hned si prohlédněte výsledek.

Kupní cena nemovitosti

2 800 000 Kč

Výše hypotéky

Doba splácení

Vypočítaná měsíční splátka

Úroková sazba 3.6%

260 990 Kč

Hypotéku zařídíme za vás

Ušetřete svůj čas i nervy. Naši makléři zařídí veškeré papírování a dovedou vás až k úspěšnému podpisu smlouvy v bance.

Nechte nám kontakt, náš makléř se v pracovní dny ozve do 24 hodin

* – toto pole je nutné vyplnit
Jiří Dráb
RE/MAX Drive
Tyršova 194
Benešov, 25601
Česká republika
Tel. na makléře: +420 606 731 978
Tel. do kanceláře: +420 605 233 760
E-mail: jiri.drab@re-max.cz

Potřebujete poradit/máte zájem o prohlídku?

* – toto pole je nutné vyplnit

Podrobné informace

Číslo zakázky:
ID 176-NP01645
Druh pozemku:
Pro bydlení
Celková plocha:
7 948 m²
Typ nemovitosti:
Pozemky
Doprava:
Vlak, Silnice, MHD, Autobus
Umístění objektu:
Okraj obce
Voda:
Zdroj pro celý objekt