Translate with 
MENU ZAVŘÍT

Prodej pozemku 2330 m², Milešovice (ID 277-NP00469)

Milešovice, okres Vyškov mapa

6 990 000 Kč ( za nemovitost)

2330 m2
Exkluzivně

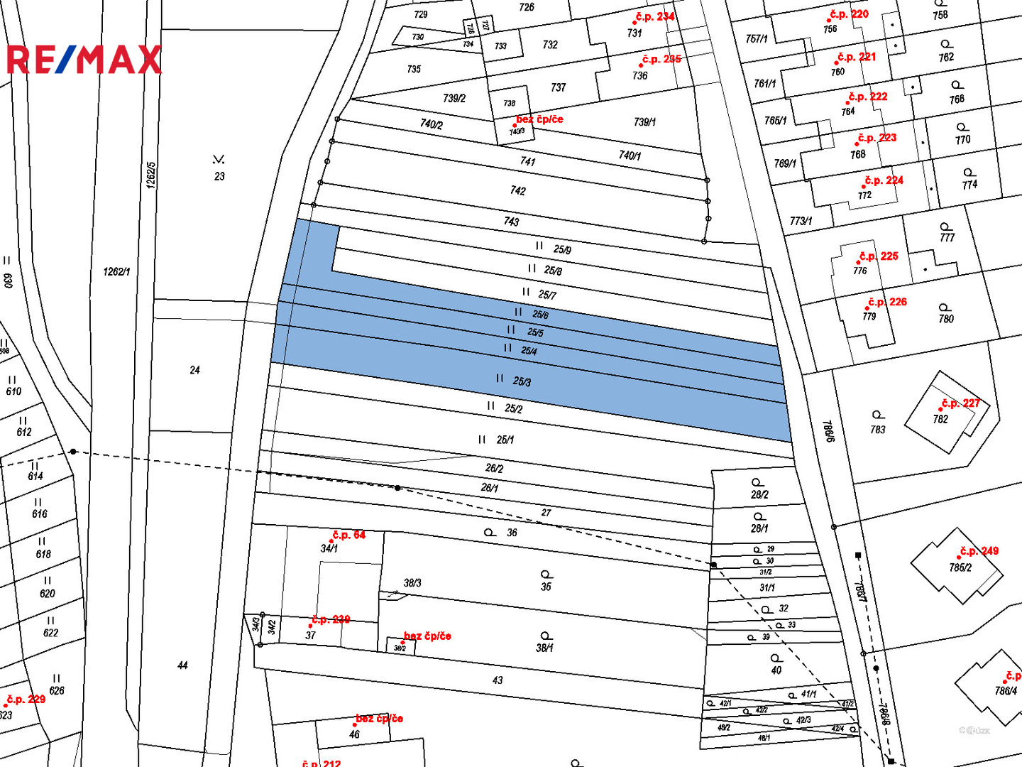
Stavební pozemek 2330 m2, Milešovice

Ve výhradním zastoupení majitele si Vám dovoluji nabídnout stavební pozemek 2230 m2 vhodný k výstavbě jednoho nebo více rodinných domů v obci Milešovice.

Pozemek se nachází v klidné části obce, téměř na okraji. V přilehlé komunikaci jsou všechny inženýrské sítě, elektřina, plyn, kanalizace, obecní vodovod.
Pozemek je obdélníkového tvaru s uliční šíři cca 21 m a délkou cca 112m.
Velikou výhodou pozemku je, že je příjezdová cesta z obou stran pozemku.
Ve fotogalerii je i vidět, jak by případný stavitel mohl pozemek rozdělit na 7 stavebních pozemků.

Rád Vám pozemek osobně představím, sdělím podrobnější informace a předložím územně plánovací Informaci, ve které jsou všechny přípustné způsoby využití pozemku a dále předložím od správců síti vyjádření o existenci sítí.

Nemovitost není zatížena žádnou exekucí ani břemenem a je nachystána k prodeji.

Obec Milešovice se nachází 18 km jihovýchodně od Brna.

S financováním Vám velice rádi pomůžeme.

Pro bližší informace volejte. Těším se na setkání s vámi.

UVEDENÁ CENA JE VČETNĚ PROVIZE I PRÁVNÍCH SLUŽEB
Cena:
6 990 000 CZK / za nemovitost
Poznámka k ceně:
UVEDENÁ CENA JE VČETNĚ PROVIZE I PRÁVNÍCH SLUŽEB, TUDÍŽ PRO KUPUJÍCÍHO KONEČNÁ.
Upozornění:
Prodávající si vyhrazuje právo vybrat kupujícího na základě jím zvolených kritérií.
RX finance

Spočítejte si splátku hypotéky

Na kolik vás vyjde pořízení vlastního bydlení? Zadejte pár informací do naší hypoteční kalkulačky a hned si prohlédněte výsledek.

Kupní cena nemovitosti

6 990 000 Kč

Výše hypotéky

Doba splácení

Vypočítaná měsíční splátka

Úroková sazba 3.6%

260 990 Kč

Hypotéku zařídíme za vás

Ušetřete svůj čas i nervy. Naši makléři zařídí veškeré papírování a dovedou vás až k úspěšnému podpisu smlouvy v bance.

Nechte nám kontakt, náš makléř se v pracovní dny ozve do 24 hodin

* – toto pole je nutné vyplnit
Petr Sedlák
RE/MAX Permanentia
Střední 622/34a
Brno, 61200
Česká republika
Tel. na makléře: +420 604 175 762
Tel. do kanceláře: +420 603 260 651
E-mail: petr.sedlak@re-max.cz

Potřebujete poradit/máte zájem o prohlídku?

* – toto pole je nutné vyplnit

Podrobné informace

Číslo zakázky:
ID 277-NP00469
Druh pozemku:
Pro bydlení
Celková plocha:
2 330 m²
Inženýrské sítě:
Vodovod, Kanalizace, Plyn, Elektřina
Typ nemovitosti:
Pozemky
Odpad:
Kanalizace
Telekomunikace:
Internet
Umístění objektu:
Klidná část obce