Translate with 
MENU ZAVŘÍT

Prodej pozemku 1045 m², Vonoklasy (ID 218-NP07019)

Vonoklasy, okres Praha-západ mapa

5 740 000 Kč ( za nemovitost)

1045 m2
Exkluzivně

Stavební pozemek 1 045 m², Vonoklasy – klidná lokalita u Prahy, elektřina zajištěna

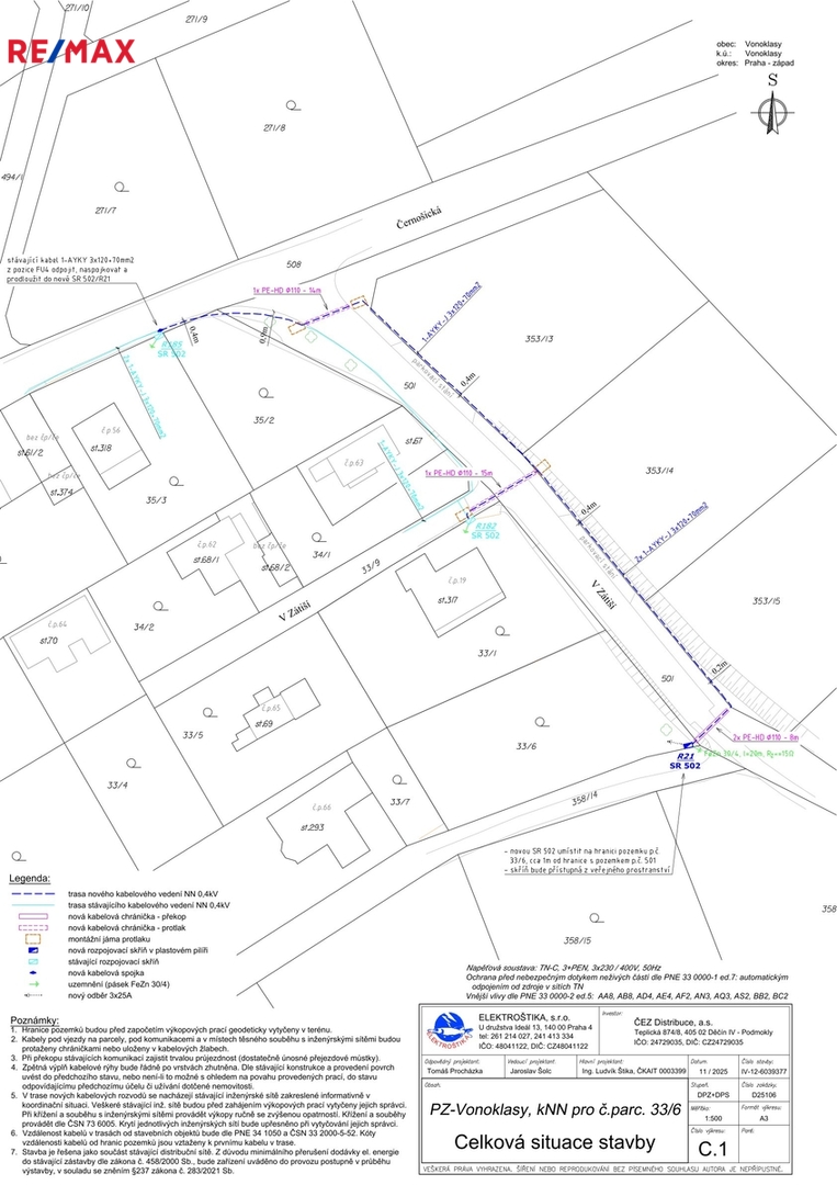
Nabízíme k prodeji stavební pozemek parc. č. 33/6 v katastrálním území Vonoklasy o výměře 1 045 m². Pozemek se nachází v klidné rezidenční části obce s výbornou dostupností do Prahy a příjemným okolím vhodným pro rodinné bydlení.

Dle územního plánu je pozemek určen jako plocha k bydlení PB1 – jednopodlažní zástavba rodinnými domy. Lze zde realizovat rodinný dům (1 nadzemní podlaží + podkroví), přičemž reálně využitelná zastavitelná část pozemku pro dům činí přibližně 400 m².

V rámci inženýrských sítí je již řešeno připojení elektřiny – byla podána žádost u ČEZ a do konce roku 2026 se počítá s připojením včetně vybudování pilíře na hranici pozemku. Pozemek je tedy prodáván jako připojený na elektřinu a náklady přípojky elektřiny jsou zahrnuty v ceně pozemku. Voda a kanalizace jsou aktuálně v řešení – existuje situační návrh napojení a probíhá komunikace s obcí ohledně finálního schválení. Samotnou vodovodní a kanalizační přípojku si vybuduje nový majitel na vlastní náklady.

Přístup na pozemek je zajištěn po asfaltové komunikaci ve vlastnictví obce.

Lokalita Vonoklasy nabízí klidné bydlení v přírodě s rychlou dostupností do Prahy – na Smíchov se dostanete cca za 20–25 minut autem. V obci a blízkém okolí se nachází základní občanská vybavenost, širší služby pak nabízí nedaleké Černošice.

Upozornění:
Nad částí pozemku vede nadzemní vedení vysokého napětí s ochranným pásmem cca 7 m na každou stranu, kde není možné umisťovat stavby, ale lze využívat jako zahradu. I přes toto omezení zůstává dostatečný prostor pro umístění rodinného domu.

Koupi pozemku lze financovat hypotečním úvěrem, s jehož vyřízením vám rádi pomůžeme.

HLAVNÍ VÝHODY:
stavební pozemek dle územního plánu (PB1 – bydlení)
výměra 1 045 m²
klidná lokalita v blízkosti Prahy
elektřina řešena (ČEZ – pilíř na hranici pozemku)
voda a kanalizace v procesu řešení
asfaltová příjezdová komunikace (obecní)
možnost výstavby rodinného domu
financování hypotékou možné Prodávající si vyhrazuje právo vybrat kupujícího na základě jím zvolených kritérií.
Cena:
5 740 000 CZK / za nemovitost
Poznámka k ceně:
Včetně provize RK, advokátní úschovy kupní ceny a kompletních právních služeb.
Upozornění:
Prodávající si vyhrazuje právo vybrat kupujícího na základě jím zvolených kritérií.
RX finance

Spočítejte si splátku hypotéky

Na kolik vás vyjde pořízení vlastního bydlení? Zadejte pár informací do naší hypoteční kalkulačky a hned si prohlédněte výsledek.

Kupní cena nemovitosti

5 740 000 Kč

Výše hypotéky

Doba splácení

Vypočítaná měsíční splátka

Úroková sazba 3.6%

260 990 Kč

Hypotéku zařídíme za vás

Ušetřete svůj čas i nervy. Naši makléři zařídí veškeré papírování a dovedou vás až k úspěšnému podpisu smlouvy v bance.

Nechte nám kontakt, náš makléř se v pracovní dny ozve do 24 hodin

* – toto pole je nutné vyplnit
Lubomír Polášek
RE/MAX Anděl
Ostrovského 253/3
Praha 5 - Smíchov, 15000
Česká republika
Tel. na makléře: +420 725 293 031
Tel. do kanceláře: +420 725 293 030
E-mail: lubomir.polasek@re-max.cz

Potřebujete poradit/máte zájem o prohlídku?

* – toto pole je nutné vyplnit

Podrobné informace

Číslo zakázky:
ID 218-NP07019
Druh pozemku:
Pro bydlení
Celková plocha:
1 045 m²
Inženýrské sítě:
Vodovod, Kanalizace, Elektřina
Typ nemovitosti:
Pozemky
Doprava:
Silnice, Autobus
Elektřina:
230 V, 400 V
Umístění objektu:
Klidná část obce